Les contributions

Contribution n°17 (Web)

Par ALBIGOT Nadège
Déposée le 16 février 2026 à 11h16
Demande d'évolution du classement de la parcelle 000/0F/0552

Dans le cadre du PLU, nous sollicitons l'étude de l'évolution de la [...]
Demande d'évolution du classement de la parcelle 000/0F/0552

Dans le cadre du PLU, nous sollicitons l'étude de l'évolution de la parcelle ci dessus d'une superficie d'environ un hectare.

- Présence d'une construction déjà édifiée
-Accessible par 2 voies publiques + un chemin qui fait partie intégrante de la parcelle
- Situation en bordure d'un axe routier
- Proximité d'un secteur déjà urbanisé à moins d'un km

Notre demande s'inscrit dans une logique de :

- d'optimisation du foncier déjà bâti
- de densification maitrisée
- de limitation de l'étalement urbain sur des parcelles vierges

Aussi nous sollicitons l'étude
- d'un reclassement en zone à urbaniser adaptée
- toute solution réglementaire permettant une constructibilité encadrée autour du bâti existant.

A votre disposition pour étudier toutes propositions compatibles avec les orientations du futur PLU

Contribution n°16 (Web)

Par vivent céline
Déposée le 10 septembre 2025 à 11h12
Madame, Monsieur,

Dans le cadre de l’enquête publique relative à la révision du Plan Local d’Urbanisme (PLU) de la commune de Castelnau [...]
Madame, Monsieur,

Dans le cadre de l’enquête publique relative à la révision du Plan Local d’Urbanisme (PLU) de la commune de Castelnau d’Estrétefonds, nous, VIVENT Jean-jacques, Julien et céline, vous adressons la présente contribution portant sur les parcelles cadastrées F1254, F1255, F1256 et F1257.

Nos demandes
1 Le maintien du classement en zone constructible des parcelles F1255 et F1257, en parfaite cohérence avec le tissu urbain existant ;
2 Le reclassement en zone constructible des parcelles F1254 et F1256, aujourd’hui considérées comme « fonds de jardin », bien que ces dernières aient été classées constructibles de 1981 à 2014.

Contexte et justifications

Les parcelles F1254 et F1256 ont perdu leur caractère constructible lors du passage du POS au PLU, puis ont été classées en 2017 comme « espaces présentant un intérêt écologique » par décision du tribunal administratif. Or, aucune étude écologique indépendante n’a démontré de manière claire et objective la valeur environnementale justifiant ce déclassement.

Nous souhaitons attirer votre attention sur les éléments suivants :
Ces terrains ne relèvent ni d’une zone N, ni d’un espace boisé classé ;
Ils sont directement contigus à des zones urbanisées denses jusqu’en deuxième et troisième ligne ;
Ils sont accessibles, raccordables aux réseaux publics et intégrés dans un tissu urbain cohérent ;
Ils sont entretenus de manière continue dans le respect du paysage local ;
Leur urbanisation n’induit aucune artificialisation nouvelle, s’inscrivant dans une logique de densification douce.

Un projet à échelle humaine et familiale

Notre demande s’inscrit dans une volonté de transmission familiale équitable, initiée par notre mère de son vivant. Une maladie grave l’a empêchée de suivre l’évolution du PLU et de faire valoir ses droits. C’est donc avec un profond respect de sa volonté et dans un esprit de réparation morale que nous reprenons aujourd’hui cette démarche.

Nous portons un projet familial, sobre, réfléchi, à taille humaine, respectueux de l’environnement et du cadre de vie local. Il ne s’agit en aucun cas d’une démarche spéculative, mais bien d’un aménagement raisonné, cohérent avec les objectifs d’urbanisme durable.

Compatibilité avec les documents d’urbanisme (SRU, ZAN, ZAC)

Conscients des obligations induites par la loi SRU, la loi Climat & Résilience, et le principe de Zéro Artificialisation Nette (ZAN), nous affirmons que notre projet :
S’inscrit dans une densification maîtrisée du tissu urbain existant, sans création d’extension urbaine ;
Valorise des terrains inclus dans un espace urbain déjà structuré, sans porter atteinte aux continuités écologiques ;
Respecte l’économie générale du PLU, les orientations du PADD, ainsi que les objectifs du SCoT ;
Est compatible avec une logique d’aménagement d’ensemble (de type ZAC si nécessaire) et permet de répondre de manière qualitative aux objectifs de mixité sociale définis dans le cadre de la loi SRU.

Un projet bénéfique pour la commune

Au-delà de l’intérêt familial, notre projet contribue également à l’intérêt général :
Il valorise et densifie le tissu urbain existant sans générer de charges nouvelles pour la commune, les parcelles étant déjà raccordables aux réseaux publics ;
Il participe à l’optimisation des infrastructures existantes (voirie, écoles, équipements collectifs) sans nécessiter d’extension urbaine ;
Il répond aux besoins réels en logements familiaux sur la commune, dans un cadre qualitatif et maîtrisé ;
Il s’accompagnera d’un aménagement paysager respectueux de l’environnement, intégrant des solutions de gestion douce des eaux pluviales et de préservation de la biodiversité locale.

Cadre juridique

Conformément aux articles L.151-7 et suivants du Code de l’urbanisme, et dans l’hypothèse où une simple modification du PLU ne permettrait pas de répondre à notre demande, nous sollicitons que soit étudiée une révision du PLU dans le cadre de l’article L.153-31 du même code.

En conclusion

Notre demande est construite, argumentée et respecte pleinement les exigences du droit, les valeurs de sobriété foncière, les objectifs de mixité et de densité urbaine, ainsi que le projet communal de développement durable. Elle vise à corriger une incohérence historique, et à réaliser un projet d’intérêt familial et local, porteur de sens et en harmonie avec les ambitions de la commune.

Dans l’attente d’un retour favorable, nous vous prions d’agréer, Madame, Monsieur, l’expression de nos salutations distinguées.

Contribution n°15 (Web)

Par Corine Amagat
Déposée le 21 mai 2025 à 20h46
Je suis propriétaire d'un grand terrain constitué des parcelles cadastrées section H n°1707, 1734, 1735, 1710, 1708, 1630, 1631 actuellement [...]
Je suis propriétaire d'un grand terrain constitué des parcelles cadastrées section H n°1707, 1734, 1735, 1710, 1708, 1630, 1631 actuellement classé en zone 2AU. Ce terrain se situe en limite de la zone UC en totalité construite, face au nouveau collège.
Il présente toutes les caractéristiques requises pour être classé en secteur constructible à court terme dans le cadre de la révision du PLU. En effet, il se situe face au collège et proche de l'école primaire, il est desservi par un rond point récemment créé et une voie communale nouvelle qui sécurise son accès (ainsi que l'accès aux terrains avoisinants), il est également desservi par les réseaux et se trouve à proximité de la zone d'activité, des équipements scolaires et sportifs. Ces parcelles, déjà arborées, ne présentent aucun intérêt agricole et sont actuellement en secteur 2AU (aucune exploitation du terrain, pas de fermage). Le secteur est en plein développement avec la construction récente d'équipements publics et d'un EHPAD.
Je rappelle en outre que j'ai cédé à l'euro symbolique un terrain en 2022 à la mairie pour la réalisation du giratoire donnant accès au collège et à ma parcelle.
Je vous remercie d'examiner ma demande en vue du classement en zone UC de mon terrain ; ce qui constituerait un élargissement très mesuré et cohérent de la zone UC existante dans laquelle il n'existe plus de possibilité de construction.

Contribution n°14 (Web)

Par ALBIGOT
Déposée le 27 février 2025 à 16h36
- Création d'un espace de bien être et de Tourisme sur les hauteurs de Castelnau
- Demande Accord de rajout d'extension en bois et [...]
- Création d'un espace de bien être et de Tourisme sur les hauteurs de Castelnau
- Demande Accord de rajout d'extension en bois et de logement atypique type Dômes
- Parcelle 000/0F/0552

Le projet s’inscrit dans une démarche cohérente avec les orientations de la commune, notamment dans le développement d’un axe touristique de qualité
Notre domaine, situé dans un cadre verdoyant et paisible, a vocation à devenir un havre de paix pour les voyageurs en quête de ressourcement, tout en valorisant les savoir-faire locaux et en créant des partenariats avec des professionnels de proximité

Document joint


Contribution n°13 (Web)

Anonyme
Déposée le 27 février 2025 à 16h08
Vivant depuis plusieurs années sur les hauteurs de Castelnau ( chemin du Leonard, chemin des bordes..., )nous sommes de plus en plus [...]
Vivant depuis plusieurs années sur les hauteurs de Castelnau ( chemin du Leonard, chemin des bordes..., )nous sommes de plus en plus soumis à une pollution sonore qui n'existait pas jusqu'alors, probablement liée au passage sur l'autoroute qui s'est intensifié mais également peut être à un élagage intensif des arbres ? ou autre... , Une barrière naturelle permettrait au bruit de moins remonter .
merci de votre prise en considération

Contribution n°12 (Web)

Par Latgé Régis
Déposée le 25 novembre 2024 à 18h11
Bonjour,

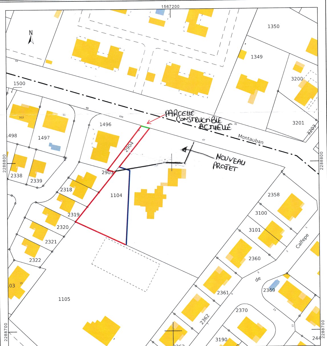
Nous vous sollicitons car nous avons une requête concernant notre parcelle constructible.
En effet, celle-ci se situe actuellement [...]
Bonjour,

Nous vous sollicitons car nous avons une requête concernant notre parcelle constructible.
En effet, celle-ci se situe actuellement au fond de notre terrain ce qui nous oblige à abattre beaucoup d'arbres. Nous souhaiterions donc échanger cette dernière avec une parcelle classée qui se situe sur le haut de notre terrain car il y a moins d'arbres à abattre, c'est aussi moins gênant pour tout le monde (les voisins, futurs acquéreurs et propriétaire) En échange, nous souhaiterions classée la parcelle constructible actuelle.
C'est essentiellement notre préoccupation environnementale qui motive notre requête.

Vous trouverez en pièce jointe les plans de notre parcelle actuelle, ainsi que du nouveau projet.

En espérant sollicité votre intérêt pour ce projet.

Cordialement,
Régis Latgé

Contribution n°11 (Web)

Anonyme
Déposée le 9 septembre 2024 à 13h18
Pollution visuelle le long de la D820 avec tous ces dépôts sauvages de véhicules notament les accidentées et dépôts de matériaux de [...]
Pollution visuelle le long de la D820 avec tous ces dépôts sauvages de véhicules notament les accidentées et dépôts de matériaux de toute sorte...
Il faut valoriser cet axe principal en previligeant des usages type showroom plutôt que des zones de stockage . De plus cela n'inspire pas la sécurité et gache la vue sur les hauteurs.

Contribution n°10 (Web)

Anonyme
Déposée le 9 septembre 2024 à 11h50
Bonjour,
Actuellement les commerces situés à l'entrée du village du coté du 36 avenue de Toulouse sont très difficilement accessibles [...]
Bonjour,
Actuellement les commerces situés à l'entrée du village du coté du 36 avenue de Toulouse sont très difficilement accessibles aux piétons et ne bénéficient que très peu du dynamisme du centre bourg.
Je propose de prolonger la voie piétonne qui s'arrête actuellement au rondpoint qui dessert l'allée de Régussol pour la relier à l'entrée du village de ce coté.
cela sécurisera également cette zone pour permettre aux populations habitant l'entrée du village de rejoindre le centre bourg et l'autre zone commerciale a coté de la poste.
En vous remerciant pour vos efforts qui permettent de préserver le cadre de vie dans notre commune.
Cordialement

Contribution n°9 (Web)

Anonyme
Déposée le 3 septembre 2024 à 18h15
Quid de l’arrêt de bus à la mairie pour desservir le collège de Castelnau ?

Contribution n°8 (Web)

Par Nicole
Déposée le 2 septembre 2024 à 09h05
Prevoir une solution pour limiter la vitesse devant le chinois route de fronton. TROP DE VITESSE, Non respect en raison de la vitesse [...]
Prevoir une solution pour limiter la vitesse devant le chinois route de fronton. TROP DE VITESSE, Non respect en raison de la vitesse du passage piéton. Merci

  • <<
  • 1 (current)
  • 2
Apportez votre contribution : Déposer une contribution

Apportez votre contribution

Déposer un avis sur le registre dématérialisé de cette participation citoyenne est simple, sécurisé et si vous le souhaitez anonyme.

Le nombre de jours restants peut évoluer, vous pourrez toujours continuer d’envoyer vos contributions à l’aide des supports suivants :
Par mail à urbanisme@mairiecastelnau.fr, Par voie postale ou en mettant votre courrier dans la boîte aux lettres de la mairie

Il vous reste encore 29 jours.

Déposer une contribution